BNews Pet
Publicado em 05/10/2022, às 08h10 Redação Bnews
A jovem Fabiana Juttel, de 20 anos, acabou adotando uma gatinha por engano no último domingo (2), depois de pensar que sua gata, chamada Luna, havia desaparecido. Isso aconteceu porque Fabiana encontrou uma felina idêntica a sua pet e acreditou ser a "fujona".
Toda confusão aconteceu enquanto Fabiana ia votar, no domingo (2) e não tinha ninguém em casa. Ainda na rua, a jovem viu nas redes sociais que uma gata, muito parecida com Luna, foi encontrada por uma mulher próximo onde ela mora. Sem pensar duas vezes, ela foi atrás da felina, acreditando que a sua havia fugido.
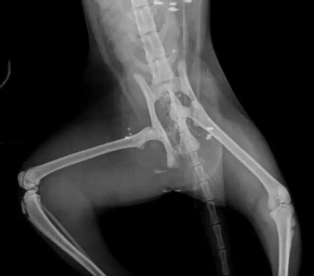
A cadela encontrada, a que era supostamente a pet de Fabiana, estava machucada e precisou passar por uma cirurgia. Contudo, quando a tutora foi levar a gata ao veterinário, a sua cunhada ligou avisando que Luna estava em casa. Agora Fabiana tem duas gatas em casa e uma delas precisa de ajuda médica.
A jovem então pediu ajuda aos internautas e uma vaquinha foi feita para custear o tratamento da felina, que foi diagnosticada com uma fratura na bacia. O orçamento do procedimento ficou em R$ 2 mil.

Até o momento, Fabiana conseguiu pouco mais que R$ 300. Para verificar a vaquinha e ajudar, clique aqui.
Seu bicho no BNews Pet
Você tem uma história interessante ou engraçada de seu pet? Conte para gente! Envie seu relato por meio de e-mail para redacao@bnews.com.br ou por meio do direct messenger no Instagram do BNews Pet.
Siga o TikTok do BNews e fique por dentro das novidades.
Classificação Indicativa: Livre
Cupom de lançamento
Qualidade Stanley
Imperdível
Super desconto
Café perfeito